LA RETE 5G SARÀ IL CAMPO DI BATTAGLIA DEL FUTURO
Di Franco Iacch Se un solo paese gestisse il servizio 5G, controllando …
Di Franco Iacch Se un solo paese gestisse il servizio 5G, controllando …
Di David Dayen newrepublic.com Facebook, Amazon, Apple e Google stanno combattendo per …
“Polvere intelligente diabolica sparsa ovunque come confetti” – le ultime parole di …
“Intelligent evil dust scattered everywhere like confetti” – Julian Assange’s last words …
La Vigorous Warrior è la più grande esercitazione della NATO in questo …
È sorprendente che il ministero delle politiche agricole, dopo aver creato …
Di Umberto Rapetto Il fatto che la supremazia tecnologica sia in …
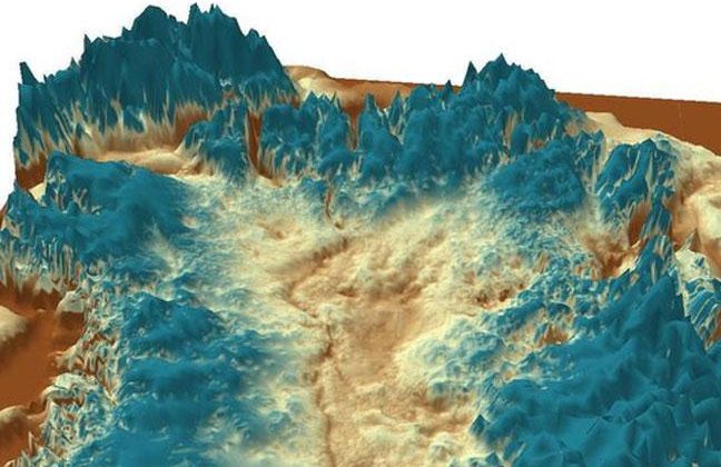
La Groenlandia si scioglie, ma non tutta l’acqua finisce in mare Forse sovrastimato l’innalzamento …
Un tatuaggio digitale ci trasformerà in cyborg. Lo ha inventato il Mit Medialab del Massachusetts Institute of …
Foto Jeff Hoffmann 8 APR 2019 — Manlio Dinucci Il 70° anniversario …
Sono stati lanciati due razzi che, una volta esplosi, hanno liberato …